File:ESH1958.jpg
From Asylum Projects
Size of this preview: 621 × 599 pixels. Other resolutions: 249 × 240 pixels | 1,024 × 988 pixels.
Original file (1,024 × 988 pixels, file size: 143 KB, MIME type: image/jpeg)
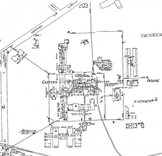
Last Sanborn map made of ESH, 1958. Note the Allen building at the very top & Wendell at the bottom.
File history
Click on a date/time to view the file as it appeared at that time.
| Date/Time | Thumbnail | Dimensions | User | Comment | |
|---|---|---|---|---|---|
| current | 02:33, 29 April 2010 | 1,024 × 988 (143 KB) | Squad546 (talk | contribs) | Last Sanborn map made of ESH, 1958. Note the Allen building at the very top & Wendell at the bottom. |
- You cannot overwrite this file.
File usage
The following page links to this file: